icasas utiliza sus propias cookies y las de terceros para elaborar información estadística y así mostrarte publicidad relacionada con tus búsquedas. Al continuar navegando aceptas su uso. Puedes obtener más información aquí:
Política de Cookies
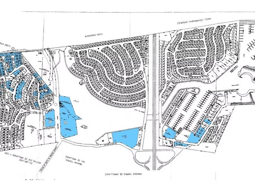
Terrenos para Desarrolladores en Venta ubicados en Puerto Salina, Ensenada.
652,109,742.45 MX$
Murgia, Ensenada, Baja California Norte
Terrenos para Desarrolladores en Venta ubicados en Puerto Salina La Marina, Ensenada. Puerto Salina es el único fraccionamiento residencial con marina privada en todo el corredor turístico costero Tijuana-Ensenada. Desarrollo exclusivo con área comercial, dos torres de condominios y terrenos residenciales disponibles, ideal para inversionistas y desarrolladores.
A tan solo 60 minutos de San Diego, la marina cuenta con 113 espacios para embarcaci...ones (proyectada para 700) y andadores sobre el muelle, consolidándose como la marina residencial más cercana a la frontera.
Desarrollado por GRUMAR desde 1981, Puerto Salina ofrece una propuesta única de terrenos con alta plusvalía, vistas al mar y acceso controlado.
Características:
• Marina privada con 113 espacios activos • Áreas comerciales • 2 torres de condominios • Más de 82 lotes en venta desde 200 m² hasta 8,766 m² • Planes ideales para inversión o desarrollo residencial con amenidades
Amenidades: ✅ Alberca ✅ Jacuzzis ✅ Casa club ✅ Espacio para eventos sociales ✅ Canchas de tennis y volleyball ✅ Club deportivo ✅ Lago artificial ✅ Andadores sobre muelle
Disponibilidad de terrenos: Lotes desde: 200 m² Hasta: 8,766.90 m²
Con precios desde $199.66 USD/m² hasta $950 USD/m² según manzana y ubicación.
Consulta de listado detallado disponible por manzana:
• Manzana 1, 2, 3, 4, 5, 6, 9, 12, 24, 27, 28 y 30. • Disponibilidad marcada en plano (ver presentación adjunta o solicitar PDF)
Total paquete: USD $37,614,627.36
Incluye concesión marina valuada en: USD $8,000,000.00 Visítanos en nuestro sitio web: https://www.bustamantebusinesscenter.---- *El precio en dólares es meramente informativo para el mercado extranjero. El costo final en pesos mexicanos de la operación estará sujeto al tipo de cambio del día de la firma de escritura ante Notario Público de acuerdo al Diario oficial de la federación*
Localización: Murgia, Ensenada, Baja California Norte